All Real Estate for Sale
18,198 properties in 118 countries
 Back to Search Results  Back to Search Results

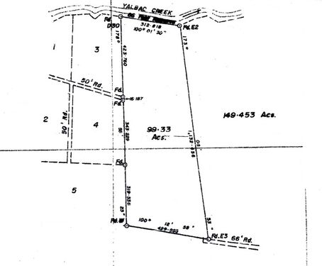
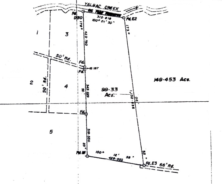
Belize Agriculture Land for Sale-250 acres

  
  
  
  
  

€ 1,800,000

£1,578,060.00
$2,111,580.00

Belize Agriculture Land for Sale-250 acres

Belize agriculture real estate located North of Spanish Lookout. Ideal for cattle or other Belize agriculture investment.

These two plots contain a total of 250 acres. They have good road access and border a creek on the north. Off grid but solar is always an option in Belize with a backup generator.

Partially cleared with potential for timber harvest to help fulfil your Belize ranch or farm dream.

Site

Property ID: 64016

For:
Sale
Type:
Agriculture
Habitable:
Yes
Size of land:
1011750 m²
Presently:
Empty
Extras:
With (or near) river, With road front, Accessible by car.

Belize

Cayo

Address:
Los Tambos, Belize
Los Tambos
Close to:
Forest.
Setting:
Countryside.

Contact me about this property for sale

Belize Land Professionals
Darren Grant
Phone: 5016001862

see all properties for sale from Darren Grant

Darren
Please solve the captcha.