All Real Estate for Sale
18,061 properties in 119 countries
 Back to Search Results  Back to Search Results

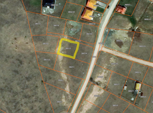
Building land in Zlatibor, next to the protected zone

  
  

€ 32,000

£27,984.00
$37,331.20

Building land in Zlatibor, next to the protected zone

A plot of 4 ares for sale on the edge of the construction zone of Zlatibor. An open view of Tornik, which will remain so. An ideal area for building a cottage, next to which all the necessary communications pass, such as water, electricity and gas. An excellent place for people who want to avoid the crowds and would like to enjoy the almost untouched nature of Zlatibor. Contact: +381628360109

Site

Property ID: 56822

For:
Sale
Size of land:
400 m²

Serbia

Zlatibor

Address:
Zlatibor
Zlatibor

Contact me about this property for sale

Private Seller
Please solve the captcha.