All Real Estate for Sale
18,309 properties in 120 countries
 Back to Search Results  Back to Search Results

Four plots of land with road access in proximity to big city

  
  
  
  
  

€ 230,000

£201,158.00
$269,537.00

Four plots of land with road access in proximity to big city

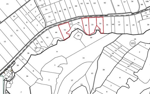
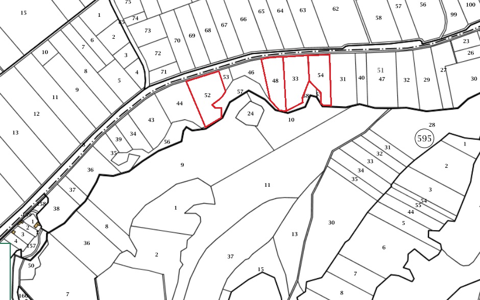
Four big plots of land with road access in proximity to forest and big city in the Northwest of Bulgaria up for sale. The properties are situated several kilometers outside the city of Vratsa. Three of the plots are regulated land and are suitable for construction. Their total area is 18000 sq.m. The fourth plot of land is 4999 sq.m. and is non-regulated land but its status can also be changed. Three of the plots are neighboring – the non-regulated one which is 4999 sq.m. and two of the regulated which are with total area of 11000 sq.m. The fourth plot of land is several properties away from these three. All plots have access to a tarmac road which goes to the city. There is also a bus stop about 500 meters away from here which is serviced by buses going to the town and the near villages. The area where the properties are situated is in the outskirts of a forest villa zone. Currently the plots don`t have running water and electricity but they can be supplied with these. Vratsa is about 5 km away from here. The city is the center of the local council and also regional capital city. It is 110 km away from the national capital Sofia and can be reached over road and rail for less than two hours. The town has good infrastructure and offers many interesting places such as museums, tourist sites, historical landmarks, lots of shops, bars, hotels, coffee shops. The business in town includes good construction companies which are able to build houses and villas in locations like the one of these land plots. The city also provides regional hospital, good dental care, fire station, police station, car service stations, gas stations, various shops and stores for everything from tools, construction materials and furniture to electrical appliances, clothes, shoes and jewelry. The town has many supermarkets, several hotels, lovely restaurants, bars, parks and pedestrian area. There are big cave, ski track, lake and nature park in close proximity to the city. The new road which will soon connect Vratsa and the Northwest with Sofia will decrease the travel time from the area to Sofia International Airport to about just over one hour by car. Good real estate purchase possibility suitable for further development of business, residential or farming project in proximity to big city, forest and lovely nature.

Site

Property ID: 58963

For:
Sale
Type:
For construction
Habitable:
No
Size of land:
23000 m²
Presently:
Empty
Extras:
With road front, Accessible by car.

Bulgaria

Vratsa

Address:
in the outskirts of the city of Vratsa, Bulgaria
5 km north of Vratsa, Bulgaria
Close to:
Bus stop, Mountain, Forest.
Setting:
Countryside.

Contact me about this property for sale

Vratzata Real Estate Agency
Viktor Mihaylov
Phone: 00359897914097 , 00447865533281

see all properties for sale & rent from Viktor Mihaylov

Viktor
Please solve the captcha.