All Real Estate for Sale
20,918 properties in 128 countries
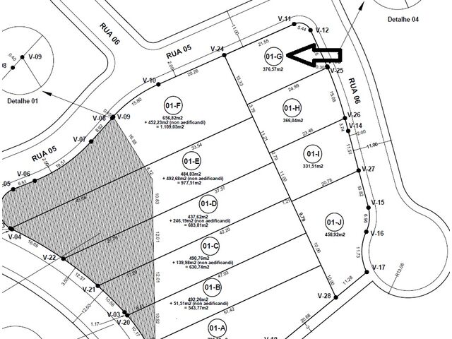
 Back to Property Details  Back to Property Details

Ocean View Land in Brazil – Prime Location - Photo Gallery